11 Prohibited Noxious Weed Seeds Georgia Gardeners Should Not Grow
It might come as a surprise, but some seeds you would never think twice about can actually cause serious problems in Georgia gardens.
While many plants bring color and life to a yard, a small group is officially classified as prohibited noxious weed seeds by the Georgia Department of Agriculture under Rule 40-12-4-.01.
These plants are regulated because they spread quickly, crowd out other growth, and can create lasting challenges in landscapes and natural areas.
In Georgia’s warm, humid climate, that spread can happen faster than expected.
Knowing which seeds fall into this category helps gardeners make more informed choices and avoid issues that are difficult to manage later.
1. Balloonvine Climbs And Spreads Quickly

Georgia’s warm summers and mild winters create ideal conditions for fast-climbing vines, and balloonvine takes full advantage of that.
Cardiospermum halicacabum, commonly known as balloonvine, is a vigorous climbing plant that wraps itself around fences, shrubs, and other plants with surprising speed.
Its puffy, balloon-shaped seed pods are eye-catching, but those pods are exactly how this plant spreads so effectively.
Each pod holds seeds that scatter easily when the pods dry and split open. Once established, balloonvine can smother nearby plants by blocking sunlight and competing for nutrients.
Georgia’s humid conditions help this plant thrive in disturbed areas, roadsides, and garden edges.
The Georgia Department of Agriculture prohibits balloonvine seeds from being present in any commercial seed lot, which reflects how seriously regulators take its invasive potential.
Gardeners who spot this vine growing near their property should act early before it climbs into established plantings.
Removing it while young is far easier than managing a mature, sprawling plant that has already begun producing seed pods.
2. Field Bindweed Twines And Is Hard To Control

Few weeds frustrate gardeners quite like field bindweed, a low-growing vine that seems to reappear no matter how many times it gets pulled.
Convolvulus arvensis produces an extensive root system that can reach several feet deep into the soil, making surface-level removal largely ineffective.
In Georgia’s sandy and loamy soils, those roots spread laterally and vertically with ease.
The plant produces small, white to pale pink trumpet-shaped flowers that might look pretty at first glance, but underneath that charm lies one of the most persistent weeds in the world.
Field bindweed twines tightly around vegetable stems, ornamental plants, and fencing, weakening whatever it climbs on.
Even small root fragments left in the ground can regenerate into new plants.
Georgia regulators prohibit its seeds from commercial seed products because allowing it to spread through contaminated seed lots could establish new infestations across the state.
Early detection gives gardeners the best chance at managing it before it becomes deeply rooted.
Consistent monitoring of garden beds, especially in areas with loose or disturbed soil, can help prevent this tenacious vine from taking hold.
3. Hedge Bindweed Covers And Competes For Space

Bigger and bolder than its cousin field bindweed, hedge bindweed can cover a fence, shrub, or garden structure in a single growing season.
Calystegia sepium produces large, white funnel-shaped flowers that can measure up to three inches across, giving it an almost ornamental appearance.
That visual appeal has led some gardeners to unknowingly allow it to grow, only to find it overtaking their landscape.
Hedge bindweed thrives in moist, fertile soils and along stream banks, roadsides, and garden borders, all of which are common features of Georgia’s diverse landscapes.
Its rhizomatous root system spreads underground, sending up new shoots that can emerge several feet away from the original plant.
This makes it extremely difficult to remove once it becomes established.
Because hedge bindweed competes aggressively for light, water, and nutrients, neighboring plants often struggle to survive when this weed moves in.
Georgia’s regulation of its seeds in commercial lots helps prevent new populations from being accidentally introduced through contaminated seed products.
Gardeners should inspect fences, trellises, and hedgerows regularly for signs of this fast-spreading climber, especially during Georgia’s long, warm growing season.
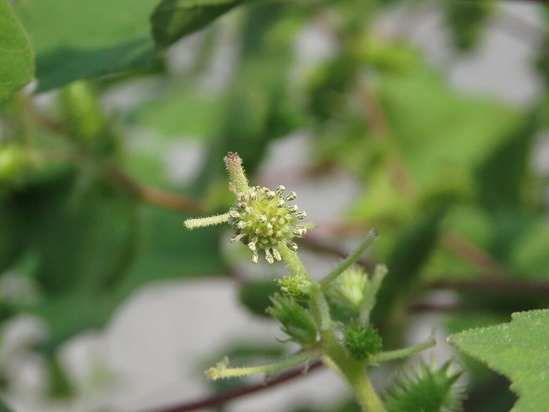
4. Cocklebur Spreads With Sticky Seed Pods

Anyone who has walked through a Georgia field or brushed against overgrown vegetation has probably encountered cocklebur’s spiny seed pods stuck to their clothing or a pet’s fur.
Xanthium spp. uses this hitchhiking strategy brilliantly, with each bur containing two seeds that get carried far from the parent plant by animals, people, and even water currents.
That efficient dispersal method is a big reason why cocklebur can spread so rapidly across new areas.
Cocklebur tends to establish itself in disturbed soils, floodplains, crop fields, and garden edges. Georgia’s combination of fertile bottomland soils and frequent summer rainfall provides favorable conditions for this plant to thrive.
Once it moves into a garden or farm, removing every plant before seed production becomes a time-consuming task.
Beyond its spreading habits, cocklebur seedlings are known to contain substances that are toxic to livestock, which adds another layer of concern for Georgia’s agricultural communities.
The Georgia Department of Agriculture prohibits cocklebur seeds from commercial seed lots to reduce the risk of new infestations spreading through seed trade.
Gardeners near livestock areas should be especially alert to this plant’s presence during the growing season.
5. Cogongrass Forms Dense, Spreading Patches

Recognized as one of the most problematic invasive grasses in the southeastern United States, cogongrass has established a strong foothold across Georgia over recent decades.
Imperata cylindrica forms thick, dense mats of sharp-edged leaves that crowd out native grasses, wildflowers, and young trees.
Its underground rhizomes spread aggressively in all directions, and even small fragments of root material can generate entirely new patches.
Cogongrass thrives in Georgia’s sandy soils and disturbed areas such as roadsides, forest edges, and cleared land. The plant produces fluffy, white seed heads that release thousands of windborne seeds, allowing it to colonize new areas quickly.
Once a patch establishes, the dense canopy it creates prevents native seedlings from getting the light they need to grow.
Georgia land managers, farmers, and homeowners have spent considerable resources trying to manage cogongrass infestations. Its spread across the state highlights the importance of early detection.
Prohibiting its seeds from commercial seed lots is a key regulatory step in preventing new introductions.
Gardeners who notice unusual grass patches with distinctive white seed plumes should report sightings to local agricultural authorities promptly.
6. Crotalaria Spreads Fast In Sunny Areas

Open, sunny landscapes across Georgia can become hotspots for crotalaria if seeds are allowed to spread unchecked.
Several species within the Crotalaria genus are known for their rapid establishment in disturbed soils, roadsides, pastures, and cultivated fields.
The plants produce distinctive inflated seed pods that rattle when dry, earning them the common name rattlebox.
Those rattling pods are not just interesting to look at – they are also efficient seed dispersers.
As the pods dry and open, seeds scatter across a wide area, and because crotalaria plants can produce large quantities of seed, populations build up quickly in favorable conditions.
Georgia’s warm temperatures and ample sunshine provide exactly the kind of environment where crotalaria can thrive.
A significant concern with crotalaria is that it contains pyrrolizidine alkaloids, compounds that are known to be harmful to livestock and some wildlife if consumed in sufficient quantities.
This makes its presence in pastures and grazing areas particularly worrying for Georgia’s farming communities.
The Georgia Department of Agriculture prohibits crotalaria seeds from commercial seed lots to reduce the chance of accidental introduction. Gardeners and landowners should learn to recognize its yellow flowers and inflated pods to catch it early.
7. Moonflower Grows Aggressively Beyond Gardens

With its large, fragrant white blooms that open in the evening, moonflower has long attracted attention from gardeners who admire its dramatic appearance.
Ipomoea alba, sometimes called giant moonflower or white morning glory, can grow rapidly, sending vines climbing over fences, trellises, and nearby vegetation at a pace that surprises many first-time growers.
What starts as a decorative garden plant can quickly extend beyond its intended boundaries.
In Georgia’s warm climate, moonflower can behave as a perennial in some areas, meaning it may return year after year from established root systems.
Its prolific seed production allows it to self-seed into surrounding areas, including natural spaces, forest edges, and neighboring properties.
That spreading behavior is what places it on Georgia’s list of prohibited noxious weed seeds.
Gardeners who have grown moonflower for its beauty may be surprised to learn that its seeds are regulated in Georgia.
The concern is not just aesthetic but ecological – when a fast-growing vine escapes into natural areas, it can wrap around and weaken native plants.
Early containment and awareness of Georgia’s seed regulations help prevent this showy plant from becoming a landscape problem that is difficult to reverse.
8. Purple Nutsedge Returns From Underground Tubers

Gardeners who have battled purple nutsedge know the frustration of pulling a plant only to watch it return within days. Cyperus rotundus earns its reputation as one of the world’s most troublesome weeds largely because of its underground tuber network.
Each tuber can generate a new plant, and a single established plant can produce dozens of tubers connected by underground stems called rhizomes and stolons.
Purple nutsedge thrives in warm, moist soils and is particularly common in Georgia’s humid summers.
It is easily identified by its triangular stem cross-section – a feature that distinguishes sedges from true grasses – and its reddish-brown to purple seed head clusters.
Gardens, lawns, and crop fields across Georgia are all susceptible to infestations once this plant moves in.
Because standard weeding removes only the above-ground portion, purple nutsedge tends to persist and even expand after repeated pulling. The tubers left behind are what fuel regrowth.
Georgia’s prohibition on its seeds in commercial seed lots helps prevent new infestations from entering the state through contaminated seed products.
Gardeners dealing with suspected purple nutsedge should consult local gardening experts or trusted resources for guidance on long-term management strategies.
9. Yellow Nutsedge Spreads In Moist Soil

Moist garden beds, irrigated lawns, and low-lying areas across Georgia are prime territory for yellow nutsedge to move in and establish itself. Cyperus esculentus closely resembles purple nutsedge in structure but tends to favor wetter, more fertile soils.
Like its relative, it reproduces through underground tubers, rhizomes, and seeds, giving it multiple pathways to spread and persist.
Yellow nutsedge produces yellowish to golden-brown seed heads and has the same distinctive triangular stem that characterizes all sedges.
In Georgia’s rainy season, it can spread rapidly through garden beds and turf, forming dense colonies that compete aggressively with desired plants for water and nutrients.
Its growth rate in warm, wet conditions is remarkable, and it can quickly dominate a poorly monitored planting area.
While yellow nutsedge tubers are actually edible and have been used historically as a food source in some cultures, the plant’s invasive behavior in agricultural and garden settings makes it a regulated species in Georgia.
Its seeds are prohibited from commercial seed lots under Georgia Department of Agriculture rules.
Gardeners should monitor low-lying or frequently irrigated areas closely, as those are the spots where yellow nutsedge tends to establish first and spread most aggressively.
10. Tropical Soda Apple Spreads With Spiny Growth

Spiny stems, small white flowers, and round fruit that resembles a tiny watermelon make tropical soda apple one of the more visually distinctive plants on Georgia’s prohibited list.
Solanum viarum is a perennial shrub that has spread through pastures and natural areas in the southeastern United States, with Georgia among the affected states.
Its sharp spines make it difficult for livestock and wildlife to avoid, and animals that consume its fruit inadvertently carry the seeds across wide areas.
A single tropical soda apple plant can produce hundreds of fruit, each containing dozens of seeds. Those seeds pass through the digestive systems of deer, cattle, and birds intact, getting deposited across fields and forests far from the original plant.
This biological dispersal method makes tropical soda apple particularly challenging to contain once it becomes established in an area.
Georgia’s agricultural lands are especially vulnerable because livestock grazing can accelerate seed dispersal across pastures.
Documented infestations across the state highlight the importance of early detection as the most practical approach.
Prohibiting its seeds from commercial lots is a foundational step in limiting new introductions. Landowners in rural Georgia should regularly inspect pastures and field edges for this spiny, fruit-bearing shrub.
11. Serrated Tussock Forms Dense Clumps Quickly

Not all invasive plants announce themselves with bold flowers or aggressive climbing habits – some, like serrated tussock, simply grow quietly into dense clumps that gradually take over an area.
Nassella trichotoma is a perennial bunch grass originally from South America that has been identified as a significant threat to grazing lands and natural grasslands in several parts of the world.
Its presence on Georgia’s prohibited noxious weed seed list reflects concern about its potential to establish in the region.
Serrated tussock produces fine, wiry, curled leaves that livestock tend to avoid because of their poor nutritional value and tough texture.
This means that in a grazed pasture, the tussock clumps are left untouched while surrounding grasses are eaten, giving serrated tussock a competitive advantage over time.
Each plant can produce thousands of small seeds that are carried by wind, water, and equipment.
Georgia’s warm, variable climate could support the establishment of serrated tussock in suitable open habitats. Preventing its seeds from entering the state through commercial seed trade is a proactive regulatory measure.
Farmers and land managers in Georgia should familiarize themselves with this grass’s distinctive tussock form and fine, rolled leaf blades so they can recognize it quickly if it appears on their property.
