Illinois Gardeners Keep Spotting Odd Tree Bumps That Aren’t Disease
Illinois gardeners have been stopping mid-walk lately after noticing strange bumps forming along tree trunks and branches.
At first glance, these growths look alarming, especially when they appear suddenly on otherwise healthy trees.
Many people assume disease or pest damage is to blame, which naturally raises concern about long-term tree health. What makes these bumps unsettling is how irregular and unfamiliar they look, often appearing hard, knobby, or swollen.
Across Illinois, gardeners are reporting the same sightings on different tree species, even in well-maintained landscapes.
The good news is that these odd bumps are often part of a natural growth response rather than a sign of illness.
Trees can form unusual structures as they react to stress, weather shifts, or past injuries without being harmed.
Understanding what these bumps actually are helps take the fear out of the situation and prevents unnecessary treatments.
Once the cause becomes clear, many Illinois gardeners feel relieved instead of worried.
What seemed like a serious problem often turns out to be a normal part of how trees adapt and protect themselves.
1. Why Tree Bumps Are Showing Up Across Illinois Gardens

Gardeners throughout Illinois are reporting more tree bumps than ever before, and the timing isn’t random. Weather patterns over recent years have created perfect conditions for these growths to develop and become more noticeable.
Mild winters followed by sudden cold snaps stress trees in ways that trigger unusual bark formations.
Spring freezes after warm spells confuse trees into starting growth too early, then forcing them to protect themselves. This back-and-forth creates the bumps many people are spotting now.
Illinois experiences these temperature swings more frequently than in past decades, making the phenomenon more common.
Bare branches in winter and early spring also make these growths easier to see.
When leaves drop, every bump, knot, and irregularity stands out clearly against the sky.
Gardeners who never noticed these features before suddenly spot them everywhere during dormant seasons.
Increased awareness through social media and gardening groups means more people are looking closely at their trees. One person posts a photo, and suddenly dozens of others realize they have similar growths.
This heightened attention makes it seem like a new problem, though these bumps have always existed across the state.
Local extension offices and arborists across Illinois are also fielding more questions, which reinforces the sense that something unusual is happening.
In most cases, these bumps are a normal stress response rather than a sign of disease, even though they can look alarming at first glance.
2. The Common Tree Growth Mistaken For Disease

Many bumps that alarm gardeners are actually normal tissue formations that trees produce in response to environmental triggers.
These growths often look swollen, discolored, or irregular, which makes people assume disease or infection. However, most are simply the tree’s way of responding to stress or protecting itself from minor injuries.
Bark naturally thickens in certain areas when trees experience pressure, temperature changes, or moisture variations. This thickening can create lumps that appear unhealthy but are actually signs of the tree adapting to its surroundings.
Illinois trees face plenty of stressors that encourage this type of growth throughout the year.
People often confuse these harmless bumps with cankers, which are actual disease symptoms that need treatment.
The difference lies in how the tissue looks and feels—healthy bumps are firm and don’t ooze or smell bad. Diseased areas typically show discoloration, soft spots, or signs of decay that normal growths don’t have.
Educational materials from extension offices across Illinois help gardeners distinguish between normal and problematic growths. Learning to recognize healthy tissue formations prevents unnecessary treatments and reduces anxiety about tree health.
Most bumps require no intervention whatsoever and won’t affect the tree’s long-term survival or appearance.
In many cases, trees continue to grow and leaf out normally despite having these bumps for years.
Monitoring the area over time is usually enough, as stable bumps that don’t change rarely signal a serious issue.
3. What Burr Knots Look Like And Why Trees Form Them

Burr knots appear as rough, bumpy clusters on tree trunks and branches, often looking like small warts or corky growths.
These formations develop when trees try to produce roots above ground, creating masses of root tissue that never fully develop.
The result is a knobby texture that can cover several inches of bark and feels rough to the touch.
Apple trees in Illinois commonly develop burr knots, especially varieties grafted onto certain rootstocks. Moisture trapped against the bark encourages these formations, as does planting trees too deep in the soil.
When the graft union sits below ground level, the tree responds by attempting to grow roots from the buried portion.
High humidity and wet conditions around the trunk trigger burr knot development throughout the growing season.
Mulch piled too close to the bark creates the perfect environment for these growths to form. Illinois summers with heavy rainfall and humid air make burr knots particularly common in backyard orchards and landscape trees.
While burr knots look alarming, they rarely harm the tree’s overall health or productivity. Some gardeners choose to remove them for aesthetic reasons, but most experts recommend leaving them alone.
The growths don’t spread disease and typically stabilize once environmental conditions change or the tree matures.
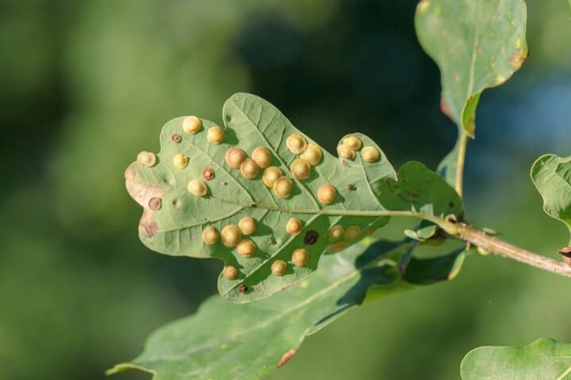
4. Insect Galls That Worry Gardeners But Rarely Harm Trees

Galls form when insects lay eggs in tree tissue, causing the plant to grow abnormal structures around the developing larvae. These growths come in dozens of shapes and sizes, from smooth round balls to spiky clusters or fuzzy patches.
Oak trees throughout Illinois host numerous gall types, each created by different wasp species that use the tree as a nursery.
The tree’s response to insect chemicals creates these odd formations, which provide food and shelter for developing larvae. Once the insects emerge, the galls remain on the tree, sometimes for years.
They look concerning but rarely affect the tree’s health, even when dozens appear on a single branch.
Willow, maple, and hickory trees also develop various galls across Illinois, each with distinctive appearances. Some look like small apples, while others resemble cauliflower or tiny pinecones.
Gardeners often mistake these for fungal infections or tumors, leading to unnecessary worry about tree survival.
Removing galls doesn’t help the tree and can actually cause more damage through pruning wounds. The insects have already emerged by the time most people notice the growths, making removal pointless.
Illinois extension services recommend leaving galls in place and simply monitoring overall tree health rather than focusing on individual formations.
Seasonal weather patterns largely determine how noticeable galls become from year to year, with some seasons producing far more than others.
As long as the tree shows healthy leaf growth and normal vigor, galls are considered a cosmetic issue rather than a threat.
5. When Tree Bumps Are A Normal Stress Response

Trees react to physical damage by growing extra tissue around wounds, creating raised areas that protect the injury. This process, called compartmentalization, helps trees seal off damaged sections and prevent decay from spreading.
Bumps that form after pruning, storm damage, or lawn equipment injuries are signs of successful healing, not disease.
Temperature fluctuations cause trees to expand and contract, sometimes creating small cracks that the tree then covers with new growth. Illinois weather swings between hot summers and cold winters, putting constant stress on bark tissue.
These repeated cycles can produce bumps and ridges that look abnormal but actually show the tree adapting well to local conditions.
Moisture changes affect how trees grow, with periods of drought followed by heavy rain triggering unusual tissue development. Bark may swell in response to sudden water availability, creating temporary bumps that flatten as conditions stabilize.
This response is particularly common in Illinois during spring when rainfall patterns become unpredictable.
Pruning wounds stimulate callus tissue growth, which forms raised edges around cuts as the tree heals. Proper pruning techniques minimize these formations, but some bumping is normal and expected.
Illinois arborists recognize these stress responses as healthy signs rather than problems requiring treatment or concern.
6. Trees Most Likely To Develop These Odd Growths

Apple and crabapple trees lead the list of species prone to unusual bumps throughout Illinois landscapes. These trees develop burr knots, galls, and stress-related growths more readily than most other species.
Their thin bark and sensitivity to environmental changes make them particularly reactive to moisture, temperature, and insect activity.
Oak trees host more gall types than any other tree in Illinois, with dozens of wasp species using oaks as hosts.
Red oaks, white oaks, and bur oaks all develop distinctive galls that worry homeowners every summer. Despite the alarming appearance, these trees continue thriving with minimal impact from the growths.
Willow species produce various bumps and swellings in response to both insects and environmental stress. Their fast growth rate and flexible wood make them prone to developing unusual tissue formations.
Illinois gardeners with weeping willows or pussy willows often notice these growths along branches and trunks.
Maple trees develop bark abnormalities when stressed by drought, poor soil, or mechanical damage. Norway maples, silver maples, and sugar maples all show these responses across Illinois.
Fruit trees including cherry, plum, and peach also form bumps readily, particularly when grafted or grown in less-than-ideal conditions throughout the state.
7. Signs A Tree Bump Is Harmless Versus A Real Problem

Harmless bumps feel firm and solid when touched, with bark that remains intact and healthy-looking. The tissue around these growths shows normal color and texture without soft spots, oozing, or discoloration.
Illinois gardeners can gently press on bumps to check for firmness, which indicates healthy tissue rather than decay or disease.
Problematic growths often show cracks, splits, or areas where bark has peeled away to expose wood underneath. Diseased bumps may ooze sap, smell unpleasant, or attract unusual numbers of insects.
These signs suggest infection or serious damage that might need professional attention from an arborist.
Color provides important clues about whether a bump poses concerns for tree health.
Healthy growths match the surrounding bark color or show slight variations that don’t include black, gray, or yellow discoloration. Illinois trees with uniform-colored bumps rarely have serious problems, while those with stark color changes deserve closer monitoring.
Growth pattern matters when evaluating tree bumps throughout the state.
Slow-developing bumps that remain stable for years typically pose no threat, while rapidly expanding growths might indicate disease. Tracking changes with photos helps gardeners determine whether bumps are harmless or require professional evaluation and possible treatment intervention.
8. When Illinois Gardeners Should Consider Pruning Or Monitoring

Pruning becomes appropriate when bumps interfere with tree structure or create weak points in important branches.
Large growths that cause branches to sag or crack under weight might need removal to prevent bigger problems. Illinois arborists recommend pruning only when structural concerns outweigh the benefits of leaving growth intact.
Monitoring works better than immediate action for most tree bumps across the state. Taking monthly photos helps track changes and reveals whether growths are expanding, stabilizing, or shrinking over time.
This patient approach prevents unnecessary pruning that could stress trees more than the bumps themselves.
Bumps near graft unions on fruit trees deserve special attention from Illinois gardeners. These areas are naturally weak points where problems can develop more easily than on other parts of the tree.
Regular inspection ensures that harmless bumps don’t hide developing issues that could affect the tree’s long-term health and productivity.
Professional consultation makes sense when bumps appear alongside other symptoms like leaf yellowing, declining branch health, or reduced growth.
Combining multiple warning signs suggests deeper problems that simple bumps don’t reveal. Illinois extension offices and certified arborists provide evaluation services that help gardeners make informed decisions about whether intervention is truly necessary for their specific situation.
9. How Healthy Trees Recover From Unusual Bark Growths

Trees possess remarkable abilities to adapt to growths by redirecting nutrients and water around affected areas.
Vascular tissue grows new pathways that bypass bumps, ensuring that branches receive adequate resources despite unusual formations. Illinois trees demonstrate this resilience year after year, thriving even with numerous visible bumps and growths.
Bark naturally expands and adjusts as trees grow, sometimes incorporating bumps into normal trunk contours over time.
What looks prominent on a young tree may become barely noticeable as the trunk thickens and ages.
This gradual blending process happens across Illinois as trees mature and develop thicker, more textured bark.
Compartmentalization allows trees to seal off damaged or unusual tissue from healthy areas, preventing problems from spreading. This natural defense mechanism works effectively on most bumps, isolating them without affecting overall tree health.
Illinois trees use this process constantly to manage environmental stresses and minor injuries throughout their lives.
Seasonal growth patterns help trees overcome stress-related bumps by producing fresh, healthy tissue each year.
Spring growth adds new layers of wood and bark that gradually minimize the appearance of old formations. Patient gardeners across Illinois watch their trees slowly recover and adapt, proving that most bumps require nothing more than time and normal care to resolve naturally.
